USINDOPACOM: Navy to Launch Large-Scale Removal of Invasive Octocorals, Supports “Don’t Let it Loose” Campaign 2024-10-27T03:00:00-07:00 Tags: invasive species Read Article
Honolulu Civil Beat: As Rhinoceros Beetles Spread, State Board Bolsters Pest Control Powers 2024-10-23T03:00:00-07:00 Tags: invasive species Read Article
Khon2: Hawaii looking to stop one of world’s worst invasive species 2024-10-10T03:00:00-07:00 Tags: invasive species Read and Listen
Big Island Now: Big Island Invasive Species Committee to provide public update about coconut rhinoceros beetle 2024-10-03T03:00:00-07:00 Tags: invasive species Read and Listen
Spectrum News: Drones will spray citric acid to kill coqui frogs near Kuliouou summit on Oahu 2024-09-27T03:00:00-07:00 Tags: coqui invasive species Read Article
DLNR: NEW TECHNOLOGY TO CURB INVASIVE COQUI ON OʻAHU 2024-09-25T03:00:00-07:00 Tags: coqui invasive species Read Article
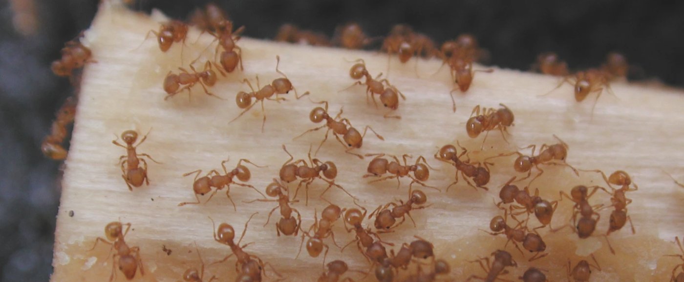
Khon2: Little fire ants pose threat to Papakolea community, surrounding areas 2024-09-24T03:00:00-07:00 Tags: invasive species Read Article
Kauai Now: Coconut rhinoceros beetle found on Big Island 2024-09-23T03:00:00-07:00 Tags: invasive species Read and Listen
The Maui News: Kia‘i Moku: Why green waste matters in preventing coconut rhinoceros beetle 2024-09-12T03:00:00-07:00 Tags: invasive species Read Article
Maui Now: Little fire ants detected in Kīpahulu, Maui 2024-09-06T03:00:00-07:00 Tags: invasive species Read and Listen